Se vende amplia plaza comercial en Heredia Centro 25-2044, $ 850,000, 9, Heredia, Heredia
$ 850,000
- 9801
Número de Referencia
RF100195
Country
Costa Rica
Province
Heredia
City
Heredia
District
Heredia
Posted
Jul 22, 2025
Condition
Used
Description
Se Vende Plaza Comercial Frente a Vía Principal en Heredia por la UNA, Ideal para Inversionistas
¡Invierte donde el comercio no se detiene! Esta plaza comercial está ubicada en una de las arterias más transitadas de Heredia, rodeada de negocios establecidos y a pasos de la Universidad Nacional.
Ubicada en una de las vías más transitadas de Heredia, esta impresionante plaza comercial se encuentra en el corazón del comercio local.
Características:
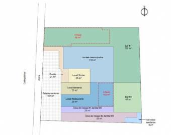
- Construcción:801 m²
- Terreno:757 m²
- Frente a calle pública:26,75 metros
- Cantidad de locales:8 locales comerciales alquilados
- Bodegas adicionales
- 9 servicios sanitarios
- Uso de suelo mixto
- Alta exposición y tránsito vehicular
Beneficios y puntos clave:
- Rentabilidad inmediata gracias a los inquilinos actuales (restaurantes, bares, floristería, comida rápida, etc.)
- Ubicación estratégica para público universitario y comercial
- Flujo constante de peatones y vehículos: ideal para negocios que dependen de visibilidad
- Construcción sólida y espacio funcional para múltiples giros comerciales
- Potencial de revalorización en una zona de crecimiento comercial acelerado
¿Te interesa invertir con visión estratégica? ¡Escríbenos ahora por WhatsApp y agenda una visita personalizada!
:::::::::::::::::::
Descripción
Invest where business never stops! This commercial plaza sits on one of Heredia's busiest roads, steps from the National University and surrounded by thriving businesses.
Located on one of Heredia's busiest roads, this impressive commercial plaza is just steps from the National University and the city's commercial hub. With eight fully leased units including bars, restaurants, flower shops and more, this property offers immediate income flow appreciating area.
Heredia Commercial Property on Main Road - High ROI Potential
- Immediate cash flow with established tenants (restaurants, bars, flower shop, fast food, and more)
- Strategic location near university and commercial district
- Constant foot and vehicle traffic - excellent for visibility-driven businesses
- Solid construction and functional design for multiple commercial purposes
- Strong potential for long-term appreciation in a booming commercial area
Interested in making a strategic investment? Message us on WhatsApp today and schedule a personalized tour!
¡Invierte donde el comercio no se detiene! Esta plaza comercial está ubicada en una de las arterias más transitadas de Heredia, rodeada de negocios establecidos y a pasos de la Universidad Nacional.
Ubicada en una de las vías más transitadas de Heredia, esta impresionante plaza comercial se encuentra en el corazón del comercio local.
Características:
- Construcción:801 m²
- Terreno:757 m²
- Frente a calle pública:26,75 metros
- Cantidad de locales:8 locales comerciales alquilados
- Bodegas adicionales
- 9 servicios sanitarios
- Uso de suelo mixto
- Alta exposición y tránsito vehicular
Beneficios y puntos clave:
- Rentabilidad inmediata gracias a los inquilinos actuales (restaurantes, bares, floristería, comida rápida, etc.)
- Ubicación estratégica para público universitario y comercial
- Flujo constante de peatones y vehículos: ideal para negocios que dependen de visibilidad
- Construcción sólida y espacio funcional para múltiples giros comerciales
- Potencial de revalorización en una zona de crecimiento comercial acelerado
¿Te interesa invertir con visión estratégica? ¡Escríbenos ahora por WhatsApp y agenda una visita personalizada!
:::::::::::::::::::
Descripción
Invest where business never stops! This commercial plaza sits on one of Heredia's busiest roads, steps from the National University and surrounded by thriving businesses.
Located on one of Heredia's busiest roads, this impressive commercial plaza is just steps from the National University and the city's commercial hub. With eight fully leased units including bars, restaurants, flower shops and more, this property offers immediate income flow appreciating area.
Heredia Commercial Property on Main Road - High ROI Potential
- Immediate cash flow with established tenants (restaurants, bars, flower shop, fast food, and more)
- Strategic location near university and commercial district
- Constant foot and vehicle traffic - excellent for visibility-driven businesses
- Solid construction and functional design for multiple commercial purposes
- Strong potential for long-term appreciation in a booming commercial area
Interested in making a strategic investment? Message us on WhatsApp today and schedule a personalized tour!
Bathrooms
9
m² of construction
801
Other phone numer
WhatsApp
- 440 Views























